Play Live Radio
Next Up:
0:00
0:00
Available On Air Stations
Watch Live

Quality of Life

County to build new Borrego Springs fire station on donated land

"Christmas Circle" is a roundabout located in the heart of Borrego Springs, Feb. 28, 2019.
Kris Arciaga
"Christmas Circle" is a roundabout located in the heart of Borrego Springs, Feb. 28, 2019.

San Diego county supervisors accepted a six-acre land donation last week to build a new fire station in Borrego Springs.

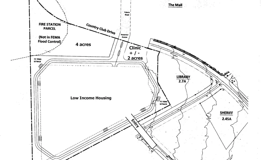
The Wright family’s donation fits into a broader vision dreamed up by the late philanthropist Bill Wright to create a central hub for the small town.

He wanted the hub to include the library, sheriff’s station, fire station, healthcare clinic and low-income housing.

Advertisement

“My father was a true visionary,” said Daniel Wright, Bill’s son. “He was a 50,000-feet kind of guy. He saw things from a high elevation, and he had dreams about making Borrego Springs a better village.”

Bill Wright died in 2019, but Daniel shares his father’s drive to transform the family’s property into a resource for the community.

The Wright family has laid out tentative plans to build a community hub on the their property. Image courtesy of Daniel Wright.
The Wright family has laid out tentative plans to build a community hub on the their property. Image courtesy of Daniel Wright.

“He wants to honor that same vision that his father had,” said Borrego Springs resident Jim Wermers.

About a decade ago, the Wright family made their first donation to the county to build a new library. The building opened in 2018 and has since become a gathering place for the community.

Borrego Springs Library, pictured in July 2019, is a designated "cool zone" for San Diego County, scheduled to open for cooling purposes on Monday June 15, 2020. No library services will be offered at this time.
Julia Dixon Evans
Borrego Springs Library, pictured in July 2019, is a designated "cool zone" for San Diego County, scheduled to open for cooling purposes on Monday June 15, 2020. No library services will be offered at this time.

“It is exceedingly well used,” David Garmon, a Borrego Springs homeowner, said. “In times of emergency, like, public safety power shutoffs, it's one of the resources that the community turns to during those times.”

Advertisement

San Diego County Fire Protection District (SDCFPD) spent more than $500,000 to remodel the existing fire station last June. In a statement emailed to KPBS, CalFire said the fire station had “asbestos and substandard living/working conditions.”

Wermers said, “The current fire station, it's been in that location for decades, and it's quite old, and it is no longer serviceable to the modern standards of fire stations.”

“There's only so much investment you can put into an old building, and just, you gotta draw the line and say, ‘Okay, we're done. We need to rebuild and go someplace else.’ And that really was kind of the impetus for this particular site,” said District 5 County Supervisor Jim Desmond.

CalFire said in its emailed statement the county is currently in the pre-construction stage for a new fire station in Jacumba, and Descanso would likely be the next station to be built after Jacumba. The new Borrego station would come after Descanso.

Daniel Wright said that two acres of the donated land is also allocated for a potential healthcare clinic.

“Our village is very, very underserved when it comes to medical care,” he said. “When you live in Borrego Springs, a trip to see the doctor is an all-day affair, because you're either going to be driving over to San Diego area, or you're going to be driving over to the Palm Springs, Palm Desert area. So this is something that's very much needed.”

Desmond said the county is exploring its options for this needed facility.

“The county right now is working through all the details for land for both a fire station and for, hopefully, in the future, an urgent care type of medical facility that would be run by somebody else, a third party, not the county,” Desmond said.

The County is now planning for the new fire station, but no funding has been identified yet.

Fact-based local news is essential

KPBS keeps you informed with local stories you need to know about — with no paywall. Our news is free for everyone because people like you help fund it.

Without federal funding, community support is our lifeline.
Make a gift to protect the future of KPBS.